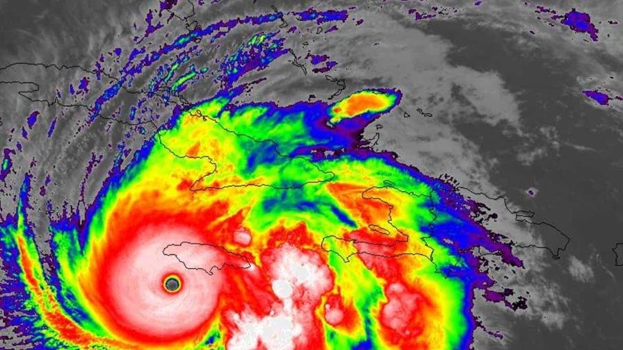
Este martes se mantendrán las lluvias, acompañadas de tormentas eléctricas y ráfagas de viento, principalmente, en localidades del suroeste, la cordillera Central y el sureste del país, así como oleaje y vientos peligrosos en las costas, debido a los efectos indirectos del huracán Melissa.
Según el Instituto Dominicano de Meteorología (Indomet), el huracán Melissa continúa incidiendo, de forma indirecta, sobre el territorio nacional.
La institución explicó que, durante las horas matutinas de este martes, persistirán las precipitaciones, en provincias como Pedernales, Barahona, Azua, Bahoruco, Independencia, San Juan, San José de Ocoa, Peravia y San Cristóbal, así como en el Gran Santo Domingo.
En horas de la tarde y la noche esta actividad lluviosa continuará afectando las provincias antes mencionadas, y se extenderá hacia San Pedro de Macorís, Monte Plata, Hato Mayor, Monseñor Nouel y Sánchez Ramírez, entre otras.


